Siêu bão Sinlaku gió giật h:ủy d:iệt 350km/h, tiến về vùng ảnh hưởng đầu tiên

Tin Tức

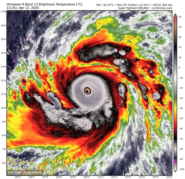
Siêu bão Sinlaku đang mạnh cực đại, hướng thẳng đến vùng ảnh hưởng đầu tiên trên Thái Bình Dương.

Báo Lao động ngày 13/4/2026 đưa tin: “Siêu bão Sinlaku gió giật hủy diệt 350km/h, tiến về vùng ảnh hưởng đầu tiên”, nội dung cụ thể cho biết: 

Bão Sinlaku đã mạnh lên thành siêu bão với sức gió duy trì tối đa hơn 280 km/h, gió giật tới 350 km/h và áp suất trung tâm 902 hPa.

Siêu bão Sinlaku đã mạnh lên cực đại với sức gió duy trì tối đa khoảng 280 km/h. Ảnh: NOAA

Hiện tại Sinlaku trở thành cơn bão mạnh nhất thế giới năm 2026.

Đây cũng là cơn bão đầu tiên trong mùa bão Thái Bình Dương năm nay đạt cấp siêu bão, trong bối cảnh các cơn bão xuất hiện vào tháng 4 tương đối hiếm.

Dự báo bão cho thấy Sinlaku sẽ đi cách Guam khoảng 150 km khi di chuyển qua phía đông bắc đảo này, trước khi rời khu vực vào khoảng thứ Năm.

Tuy không đổ bộ đất liền, dự báo thời tiết nguy hiểm như gió giật mạnh, sóng lớn và mưa rất to vẫn có thể ảnh hưởng trên diện rộng tại quần đảo Bắc Mariana thuộc Mỹ.

Theo bản tin dự báo bão mới nhất từ Trung tâm Cảnh báo Bão Liên hợp (JTWC), quỹ đạo của bão Sinlaku gần như không thay đổi so với các dự báo trước.

Dự báo bão tiếp tục di chuyển theo hướng tây bắc trong khoảng 2 ngày tới.

Bão ít khả năng đi vào Biển Đông.

Khu vực đảo Saipan và Tinian (thuộc quần đảo Bắc Mariana) nằm rất gần đường đi dự kiến của bão, với tâm bão có thể đi lệch nhẹ về phía nam đông nam của Tinian trong vòng 36 giờ tới.

Dự báo bão cho thấy sức gió có thể giảm từ khoảng 260 km/h khi ở phía đông Guam (sau 24 giờ) xuống còn khoảng 230 km/h khi tiến gần Saipan (sau 36 giờ).

Trong 3 – 5 ngày tới, bão tiếp tục suy yếu do nhiệt độ mặt biển giảm xuống khoảng 26 độ C và không khí khô chi phối, với sức gió có thể còn khoảng 140 km/h vào cuối chu kỳ dự báo.

Do ảnh hưởng của siêu bão Sinlaku, hoạt động hàng không đã bị ảnh hưởng với loạt chuyến bay có khả năng bị hủy đến giữa tuần.

United Airlines, Philippine Airlines, Hong Kong Airlines và T’Way Air thông báo hủy toàn bộ chuyến bay đến đảo Saipan trong thời gian bão còn hoạt động mạnh.

Trong bối cảnh diễn biến bão còn phức tạp, du khách có kế hoạch đến Guam, quần đảo Bắc Mariana Philippines hoặc các hòn đảo ở khu vực Tây Bắc Thái Bình Dương cần thường xuyên cập nhật dự báo thời tiết, theo dõi sát các bản tin dự báo bão và chủ động điều chỉnh lịch trình để đảm bảo an toàn.

Cũng trong 13/4, báo Sức khỏe & Đời sống đăng bài: “Sinlaku là một trong 3 cơn bão mạnh nhất kể từ năm 1977”, cập nhật về bão như sau: 

Theo Trung tâm Dự báo Khí tượng Thủy văn Quốc gia, Sinlaku đạt cấp siêu bão – một trong 3 cơn bão mạnh nhất trong tháng 4 kể từ năm 1977

Tối  ngày (12/4), sức gió vùng tâm siêu bão Sinlaku đã tăng lên 105 kts, tương đương cấp 16, giật trên cấp 17. Đây là cơn bão đầu tiên trong năm 2026 đạt cường độ này, đồng thời là lần đầu xuất hiện trong tháng 4 kể từ bão Surigae (2021), và chỉ là lần thứ ba kể từ năm 1977.

Hiện Sinlaku cũng là cơn bão mạnh nhất thế giới trong năm 2026, với áp suất trung tâm 920 hPa (tính đến thời điểm hiện tại), vượt qua bão Maila ở khu vực Úc (924 hPa).

Mắt bão Sinlaku – cơn bão mạnh nhất thế giới năm 2026 tính đến hiện tại.

Theo ông Mai Văn Khiêm – Giám đốc Trung tâm Dự báo Khí tượng Thủy văn Quốc gia, phân tích từ số liệu vệ tinh, hiện tại bão Sinlaku đang trong quá trình tăng cường độ nhanh, mắt bão rõ nét, vùng mây đối lưu phát triển mạnh và hoàn lưu đối xứng.

“Các điều kiện môi trường trên vùng biển thuận lợi (nhiệt độ mặt nước biển cao, thông lượng nhiệt từ đại dương dồi dào, độ đứt gió tầng cao yếu) tạo điều kiện để bão tiếp tục mạnh lên nhanh trong 24 giờ tới” – ông Khiêm cho hay.

Cơ quan khí tượng dự báo trong 24 giờ tới bão Sinlaku sẽ di chuyển theo hướng Tây Bắc với tốc độ khoảng 15km/h và có khả năng sẽ mạnh lên thành siêu bão.

“Đây sẽ là siêu bão đầu tiên hoạt động trên khu vực Tây Bắc Thái Bình Dương trong mùa bão năm nay và là một trong số rất ít cơn siêu bão xuất hiện ngay trong tháng 4” – ông Khiêm nói.

Cường độ của siêu bão Sinlaku mạnh nhất vào khoảng cấp 16 – 17, giật trên cấp 17. Sau khi mạnh lên thành siêu bão, siêu bão Sinlaku sẽ đổi hướng di chuyển lên phía bắc, sau đó nhiều khả năng sẽ tiếp tục đổi hướng một lần nữa thành hướng bắc đông bắc vào khoảng ngày 16 – 17/4 và di chuyển tới vùng biển phía đông của Nhật Bản và cường độ sẽ giảm cấp dần.

Hiện tại các dự báo bão đều cho thấy bão sẽ không có khả năng đi vào khu vực Biển Đông. Trung tâm Dự báo Khí tượng Thủy văn Quốc gia vẫn đang theo dõi sát diễn biến của siêu bão đầu mùa này.

Về xu thế mùa bão 2026, bản tin thời hạn mùa từ Trung tâm Dự báo Khí tượng Thủy văn Quốc gia cho biết, từ tháng 4 đến tháng 6 năm 2026, bão/áp thấp nhiệt đới hoạt động trên khu vực Biển Đông và ảnh hưởng trực tiếp đến đất liền tương đương với mức trung bình nhiều năm. Thông thường mùa bão tại Việt Nam bắt đầu vào khoảng tháng 6.

Theo số liệu trung bình nhiều năm trên Biển Đông trong giai đoạn tháng 4 đến tháng 6 có khoảng 1,8 cơn bão/áp thấp nhiệt đới, đổ bộ vào đất liền 0,3 cơn.

Từ tháng 7 đến tháng 9 năm 2026, hoạt động của xoáy thuận nhiệt đới gia tăng. Dự báo số lượng bão/áp thấp nhiệt đới trên Biển Đông và đổ bộ vào đất liền nước ta ở mức tương đương so với trung bình nhiều năm. Theo số liệu trung bình nhiều năm từ tháng 7 đến tháng 9 trên Biển Đông có khoảng 6,5 cơn bão/áp thấp nhiệt đới, đổ bộ vào đất liền khoảng 2,9 cơn.

Ông Mai Văn Khiêm phân tích, dự báo trong năm 2026, hệ thống khí quyển – đại dương sẽ trải qua nhiều trạng thái chuyển pha.

“Với tính chất chuyển pha liên tục của hiện tượng ENSO quy mô lớn như vậy, điều kiện khí quyển – đại dương sẽ ở trạng thái bất ổn định. Đây có thể là nguyên nhân dẫn đến các hiện tượng thời tiết, khí hậu cực đoan như bão mạnh, mưa cường suất lớn… xuất hiện trong năm 2026” – ông Khiêm phân tích.