Đêm qua đến sáng sớm nay, sức gió mạnh nhất vùng gần tâm siêu bão Sinlaku tiếp tục tăng lên 115kts (212km/h), tương đương cấp 17, giật trên cấp 17.

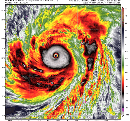
Ảnh vệ tinh siêu bão Sinlaku sáng 13-4 – Ảnh: Cyclonicwx
Cơ quan khí tượng Nhật Bản (JMA) cho biết lúc 6h sáng 13-4, siêu bão Sinlaku đang ở cách quần đảo Bắc Mariana hơn 500km về phía đông nam, cách Biển Đông hơn 3.000km về phía đông, sức gió mạnh nhất vùng gần tâm bão mạnh cấp 17 (212km/h), giật trên cấp 17.
Như vậy, so với tối qua, cường độ siêu bão Sinlaku mạnh thêm 10kts (khoảng 18km/h).
JMA dự báo trong 24 giờ tới, siêu bão Sinlaku di chuyển theo hướng tây bắc với tốc độ khoảng 15km/h và cường độ vẫn duy trì mạnh cấp 17, giật trên cấp 17.
Từ khoảng 24 đến 48 giờ tiếp theo, siêu bão tiếp tục đi theo hướng tây bắc với tốc độ khoảng 10km/h và cường độ có khả năng suy yếu dần.
Đến 6h sáng 15-4, tâm siêu bão ở cách quần đảo Bắc Mariana hơn 100km về phía đông bắc.
Sau đó bão dần đi lên phía bắc và cường độ tiếp tục suy yếu thêm.
Trên ảnh mây vệ tinh sáng nay có thể thấy mắt siêu bão Sinlaku vẫn rõ nét, vùng mây đối lưu phát triển mạnh và hoàn lưu đối xứng.
JMA ước tính vùng gió mạnh cấp 7 trở lên trải dài từ 500-600km tính từ tâm bão, vùng gió mạnh cấp 10 trở lên khoảng 165km.
Hôm qua, cơ quan khí tượng Việt Nam cho biết siêu bão đang hoạt động trên vùng biển có điều kiện môi trường thuận lợi như nhiệt độ mặt nước biển cao, thông lượng nhiệt từ đại dương dồi dào, độ đứt gió tầng cao yếu, tạo điều kiện để bão có thể mạnh lên, đạt sức gió tối đa 220km/h (cuối cấp 17).
Về hướng di chuyển, Trung tâm Dự báo khí tượng thủy văn quốc gia dự báo hôm nay siêu bão Sinlaku đi theo hướng tây bắc với tốc độ khoảng 15km/h.
Sau đó siêu bão Sinlaku sẽ đổi hướng di chuyển lên phía bắc và nhiều khả năng sẽ tiếp tục đổi hướng một lần nữa thành hướng bắc đông bắc, đi tới vùng biển phía đông của Nhật Bản và cường độ sẽ giảm cấp dần.
“Hiện tại các dự báo bão đều cho thấy bão sẽ không có khả năng đi vào khu vực Biển Đông” – Trung tâm Dự báo khí tượng thủy văn nhận định và cho biết vẫn đang theo dõi sát diễn biến cơn bão này.
Sinlaku – siêu bão hiếm gặp trong tháng 4
Theo Trung tâm Dự báo khí tượng thủy văn quốc gia, đây là cơn bão đầu tiên trong năm 2026 đạt cấp siêu bão.
Tính từ đầu năm đến nay, Sinlaku đang là cơn bão mạnh nhất thế giới với áp suất trung tâm 920 hPa, vượt qua bão Maila ở khu vực Úc (924 hPa).
Đây cũng là lần thứ ba kể từ năm 1977 mới xuất hiện một siêu bão trong tháng 4, trước đó là siêu bão Surigae năm 2021.
Với sức gió lên tới 212km/h, theo thang đánh giá của Việt Nam, siêu bão Sinlaku có sức phá hoại cực kỳ lớn, sóng biển cực kỳ mạnh, có thể đánh đắm tàu thuyền có trọng tải lớn.